Zandstraat 15
Beschikbaar
5066 CA Moergestel
€2.250.000,00 Kosten koper
Sommige huizen voel je al vóórdat je de deur opent. Je rijdt de oprijlaan op, uitkijkend over de omgeving, en je ziet je huis staan. Gelegen op Landgoed ’t Lot woon je in een natuurrijk gebied, met je eigen groene paradijs. Dat is precies de kracht van dit unieke landhuis: de natuur is het niet alleen het decor, het is ook een stuk van jouw thuis. Overal waar je kijkt, of dat nu binnen of buiten is, voel en zie je de natuur. Met een schilderachtig uitzicht geniet je elk seizoen van een nieuw beeld.
Binnen gaat het verder. Bij binnenkomst vallen het licht en de hoge plafonds direct op. Je loopt zo de luxe keuken tegemoet, waar je over alles beschikt wat je maar kunt wensen. Veel kastruimte, een kookeiland en een barretje; het ontbreekt je aan niets. Terwijl jij de lekkerste maaltijden aan het bereiden bent, blijf je in contact met je gasten. Dankzij de praktische indeling en de ruimte kun je hier eenvoudig een grote eettafel plaatsen. Zet de schuifdeur open en laat buiten en binnen in elkaar overlopen.
In de tuinkamer kun je heerlijk ontspannen met een goed boek of een heerlijk glas wijn. Geniet van het zonnetje wat naar binnen schijnt en neem alles in je op. Of kom samen in de woonkamer, waar je in een handomdraai een knusse sfeer creëert, dankzij de glazen draaideuren. Vanuit hier loop je zo de zijkant van de tuin in, waar je een fijne overkapping vindt. De warme en rustige tinten, de houten balken en de grote ramen zorgen ervoor de het huis en de groene omgeving één worden.
Op de begane grond vind je de master bedroom. Stel je voor: je wordt ’s ochtends wakker, kijkt vanuit je bed naar buiten en ziet daar een ree door de tuin lopen. Dit kan zomaar een van jouw ochtenden zijn, iets wat nooit gaat vervelen. In de slaapkamer beschik je ook nog eens over een grote kastruimte. Daarnaast beschik je ook nog over een en-suite badkamer. Vanuit de douche of het bad blijf je van het prachtige zicht genieten. Terwijl je ook nog eens volop van de privacy geniet.
In de tuin vind je het afsluitbare tuinhuis, zodat jij het hele jaar door buiten kunt zijn, een schuurtje en een ruimte voor bijvoorbeeld een sauna. Hier is de basis alvast voor gelegd, toch biedt het mogelijkheden voor jouw eigen ideeën. Met de mogelijkheid voor het bouwen van bijvoorbeeld een bijgebouw van 100m2 en een zwembad is er naast de geweldige basis nog potentie voor jouw eigen inbreng. Je kijkt hier weg tot aan de bosrand en nog net iets verder.
Het maakt niet uit welk seizoen het is; in de zomer zit je heerlijk in de zon en in de herfst maak je de mooiste wandelingen door de Oisterwijkse Bossen en Vennen. En dit doe je allemaal vanuit je eigen tuin. Volg het pad en loop langs het kabbelende water de bossen in. Zo ervaar je de rust in de meest optimale vorm.
Boven vind je de tweede slaapkamer, volledig met eigen wastafel en badkamer. De overloop voorziet je van een multifunctionele ruimte waar jij bijvoorbeeld een thuiswerkplek kunt realiseren.
De stijl van de keuken loopt door in de bijkeuken. Een praktische ruimte waar je extra kasten, een oven en een wastafel vindt. Zo is alles een fraai geheel.
De ruime inpandige garage en zolder voorzien je van een plek voor je auto en fietsen en extra opbergruimte. De watertank, warmteterugwinning met warmtepomp en waterontharder zijn allemaal netjes weggewerkt in de technische ruimte.
We hebben het er al even over gehad; de ligging! Maar we zijn er nog niet. Je woont hier rustig en vrij en tóch ben je snel bij de verschillende voorzieningen. Het centrum van Moergestel of Oisterwijk is snel bereikbaar, zowel met de auto als op de fiets. En wil je een dagje de stad in? Dan biedt Tilburg uitkomst. Ook hier sta je in no time met de auto.
Kortom: dit fantastische landhuis biedt werkelijk alles. Van rust, ruimte en natuur tot luxe in elke ruimte en een goede bereikbaarheid met omliggende dorpen en steden. En als kers op de taart nog de mogelijkheid tot het realiseren van een zwembad en/of bijgebouw. Wat wil je nog meer?
Belangrijk om te weten:
- Uniek landhuis gelegen op Landgoed ’t Lot;
- Gebouwd in 2024, voorzien van A+++ en 32 zonnepanelen;
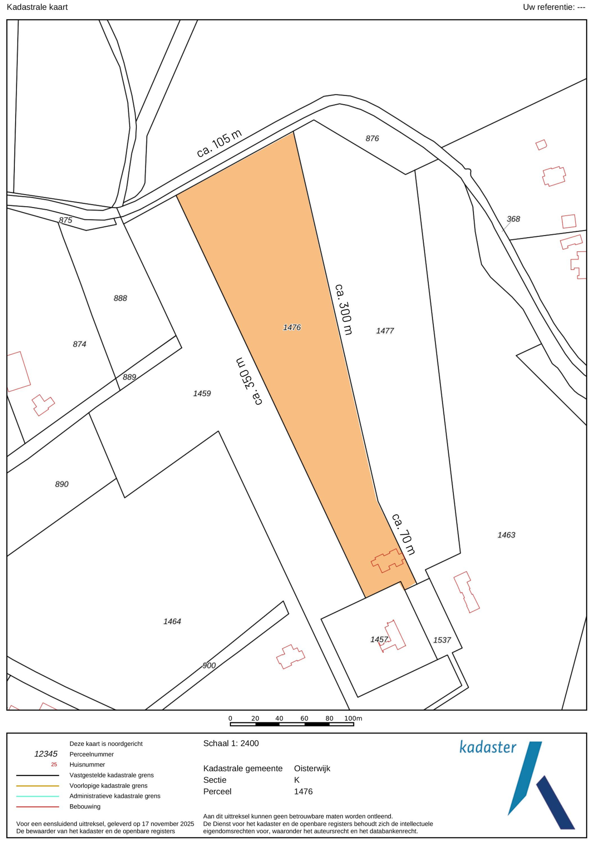
- Gelegen op een perceel van ruim 25.000m2;
- Luxe afwerking in elke ruimte, waar de natuur écht naar binnen gehaald is;
- Fraaie keuken met diverse apparatuur, veel kastruimte en een kookeiland met barretje;
- Grote raampartijen en meerdere deuren naar de tuin;
- Gezellige tuinkamer met uitzicht over de enorme tuin;
- Knusse woonkamer eenvoudig af te sluiten door de glazen draaideuren;
- Master bedroom op de begane grond, voorzien van een grote kastruimte en een en-suite badkamer met ligbad en inloopdouche;
- Een tweede slaapkamer boven met eigen wastafel en badkamer;
- Overloop biedt ruimte voor een thuiswerkplek;
- Ruime garage en bergzolder;
- Tuinhuis met schuurtje en de mogelijkheid tot het realiseren van bijvoorbeeld een sauna;
- Mogelijkheid voor het bouwen van een bijgebouw (100m2) en realiseren van een zwembad;
- Vrij uitzicht over de bossen en een stuk natuurgrond;
- Eigen toegang tot het bos;
- Gelegen aan de Oisterwijkse Bossen en Vennen, perfect voor een rustgevende wandeling;
- Veel privacy, zowel in het huis als in de tuin;
- Het centrum van zowel Moergestel als Oisterwijk snel bereikbaar met fiets en auto;
- Tilburg eenvoudig bereikbaar;
- Warmteterugwinning, warmtepomp, watertank en waterontharder in de technische ruimte;
- Twee meterkasten aanwezig en alle kabels en leidingen netjes weggewerkt onder de grond;
- Oprijlaan wordt nog beplant en afgewerkt;
- Aanvaarding in overleg.
Deze informatie is door ons met de nodige zorgvuldigheid samengesteld. Onzerzijds wordt echter geen enkele aansprakelijkheid aanvaard voor enige onvolledigheid, onjuistheid of anderszins, dan wel de gevolgen daarvan. Alle opgegeven maten en oppervlakten zijn indicatief.
Binnen gaat het verder. Bij binnenkomst vallen het licht en de hoge plafonds direct op. Je loopt zo de luxe keuken tegemoet, waar je over alles beschikt wat je maar kunt wensen. Veel kastruimte, een kookeiland en een barretje; het ontbreekt je aan niets. Terwijl jij de lekkerste maaltijden aan het bereiden bent, blijf je in contact met je gasten. Dankzij de praktische indeling en de ruimte kun je hier eenvoudig een grote eettafel plaatsen. Zet de schuifdeur open en laat buiten en binnen in elkaar overlopen.
In de tuinkamer kun je heerlijk ontspannen met een goed boek of een heerlijk glas wijn. Geniet van het zonnetje wat naar binnen schijnt en neem alles in je op. Of kom samen in de woonkamer, waar je in een handomdraai een knusse sfeer creëert, dankzij de glazen draaideuren. Vanuit hier loop je zo de zijkant van de tuin in, waar je een fijne overkapping vindt. De warme en rustige tinten, de houten balken en de grote ramen zorgen ervoor de het huis en de groene omgeving één worden.
Op de begane grond vind je de master bedroom. Stel je voor: je wordt ’s ochtends wakker, kijkt vanuit je bed naar buiten en ziet daar een ree door de tuin lopen. Dit kan zomaar een van jouw ochtenden zijn, iets wat nooit gaat vervelen. In de slaapkamer beschik je ook nog eens over een grote kastruimte. Daarnaast beschik je ook nog over een en-suite badkamer. Vanuit de douche of het bad blijf je van het prachtige zicht genieten. Terwijl je ook nog eens volop van de privacy geniet.
In de tuin vind je het afsluitbare tuinhuis, zodat jij het hele jaar door buiten kunt zijn, een schuurtje en een ruimte voor bijvoorbeeld een sauna. Hier is de basis alvast voor gelegd, toch biedt het mogelijkheden voor jouw eigen ideeën. Met de mogelijkheid voor het bouwen van bijvoorbeeld een bijgebouw van 100m2 en een zwembad is er naast de geweldige basis nog potentie voor jouw eigen inbreng. Je kijkt hier weg tot aan de bosrand en nog net iets verder.
Het maakt niet uit welk seizoen het is; in de zomer zit je heerlijk in de zon en in de herfst maak je de mooiste wandelingen door de Oisterwijkse Bossen en Vennen. En dit doe je allemaal vanuit je eigen tuin. Volg het pad en loop langs het kabbelende water de bossen in. Zo ervaar je de rust in de meest optimale vorm.
Boven vind je de tweede slaapkamer, volledig met eigen wastafel en badkamer. De overloop voorziet je van een multifunctionele ruimte waar jij bijvoorbeeld een thuiswerkplek kunt realiseren.
De stijl van de keuken loopt door in de bijkeuken. Een praktische ruimte waar je extra kasten, een oven en een wastafel vindt. Zo is alles een fraai geheel.
De ruime inpandige garage en zolder voorzien je van een plek voor je auto en fietsen en extra opbergruimte. De watertank, warmteterugwinning met warmtepomp en waterontharder zijn allemaal netjes weggewerkt in de technische ruimte.
We hebben het er al even over gehad; de ligging! Maar we zijn er nog niet. Je woont hier rustig en vrij en tóch ben je snel bij de verschillende voorzieningen. Het centrum van Moergestel of Oisterwijk is snel bereikbaar, zowel met de auto als op de fiets. En wil je een dagje de stad in? Dan biedt Tilburg uitkomst. Ook hier sta je in no time met de auto.
Kortom: dit fantastische landhuis biedt werkelijk alles. Van rust, ruimte en natuur tot luxe in elke ruimte en een goede bereikbaarheid met omliggende dorpen en steden. En als kers op de taart nog de mogelijkheid tot het realiseren van een zwembad en/of bijgebouw. Wat wil je nog meer?
Belangrijk om te weten:
- Uniek landhuis gelegen op Landgoed ’t Lot;
- Gebouwd in 2024, voorzien van A+++ en 32 zonnepanelen;
- Gelegen op een perceel van ruim 25.000m2;
- Luxe afwerking in elke ruimte, waar de natuur écht naar binnen gehaald is;
- Fraaie keuken met diverse apparatuur, veel kastruimte en een kookeiland met barretje;
- Grote raampartijen en meerdere deuren naar de tuin;
- Gezellige tuinkamer met uitzicht over de enorme tuin;
- Knusse woonkamer eenvoudig af te sluiten door de glazen draaideuren;
- Master bedroom op de begane grond, voorzien van een grote kastruimte en een en-suite badkamer met ligbad en inloopdouche;
- Een tweede slaapkamer boven met eigen wastafel en badkamer;
- Overloop biedt ruimte voor een thuiswerkplek;
- Ruime garage en bergzolder;
- Tuinhuis met schuurtje en de mogelijkheid tot het realiseren van bijvoorbeeld een sauna;
- Mogelijkheid voor het bouwen van een bijgebouw (100m2) en realiseren van een zwembad;
- Vrij uitzicht over de bossen en een stuk natuurgrond;
- Eigen toegang tot het bos;
- Gelegen aan de Oisterwijkse Bossen en Vennen, perfect voor een rustgevende wandeling;
- Veel privacy, zowel in het huis als in de tuin;
- Het centrum van zowel Moergestel als Oisterwijk snel bereikbaar met fiets en auto;
- Tilburg eenvoudig bereikbaar;
- Warmteterugwinning, warmtepomp, watertank en waterontharder in de technische ruimte;
- Twee meterkasten aanwezig en alle kabels en leidingen netjes weggewerkt onder de grond;
- Oprijlaan wordt nog beplant en afgewerkt;
- Aanvaarding in overleg.
Deze informatie is door ons met de nodige zorgvuldigheid samengesteld. Onzerzijds wordt echter geen enkele aansprakelijkheid aanvaard voor enige onvolledigheid, onjuistheid of anderszins, dan wel de gevolgen daarvan. Alle opgegeven maten en oppervlakten zijn indicatief.
Overdracht
- Status
- Beschikbaar
- Vraagprijs
- €2.250.000,00 Kosten koper
Bouwvorm
- Soort woning
- Landhuis
- Type woning
- Geschakelde woning
- Bouwjaar
- 2024
- Bouwvorm
- Bestaande bouw
- Ligging
- Aan bosrand, Aan park, Vrij uitzicht, Open ligging, Landelijk gelegen
Indeling
- Woonoppervlakte
- 217 m2
- Perceeloppervlakte
- 25187 m2
- Inhoud
- 1262 m3
- Aantal kamers
- 5
- Aantal slaapkamers
- 2
- Aantal woonlagen
- 2
Energie
- Energielabel
- A_PPP
Overig
- Tuin
- Tuin rondom
- Schuur / berging
- Vrijstaand hout
- Garage
- Inpandig
- Parkeerfaciliteiten
- Op eigen terrein
- Soort dak
- Zadeldak
- Permanente bewoning
- Ja
- Huidig gebruik
- Woonruimte
- Huidige bestemming
- Woonruimte
In het kort
- Type woning
- Geschakelde woning
- Bouwjaar
- 2024
- Woonoppervlakte
- 217 m2
- Aantal kamers
- 5
Vragen over dit huis?
Petra
Als Persoonlijk adviseur wonen help ik je graag verder. Bel of mail me gerust.
In de buurt
Selecteer een filter
Meer informatie
Kaatsheuvel
Vragen of een keer bezichtigen?
Een goede voorbereiding...
Het is verstandig om antwoord te hebben op de volgende vragen als je een bezichtiging overweegt:
- Is je financieel advies up-to-date?
- Staat je eigen huis al in verkoop?
- Komt je aankoopmakelaar mee?
Heb je nog niet overal antwoord op? Geen zorgen, ik help je graag zodat jouw zoektocht zal slagen. Bel, Whatsapp of mail mij gerust, natuurlijk ook voor het plannen van een bezichtiging!
Heb je een vraag?
Bekijk de veelgestelde vragen
Download brochure















































